Prace budowlane w Gminie Ryki – Budowa kanalizacji sanitarnej

Opublikowano:
Autor: | Zdjęcie: Gmina Ryki

Prace budowlane w Gminie Ryki – Budowa kanalizacji sanitarnej - Zdjęcie główne

foto Gmina Ryki

reklama
Udostępnij na:
Facebook

Przeczytaj również:

Z POWIATU RYCKIEGOWładze Gmina Ryki informują mieszkańców o rozpoczęciu prac budowlanych związanych z budową kanalizacji sanitarnej. Celem projektu jest poprawa infrastruktury oraz jakości życia mieszkańców gminy.
reklama

Etap I inwestycji

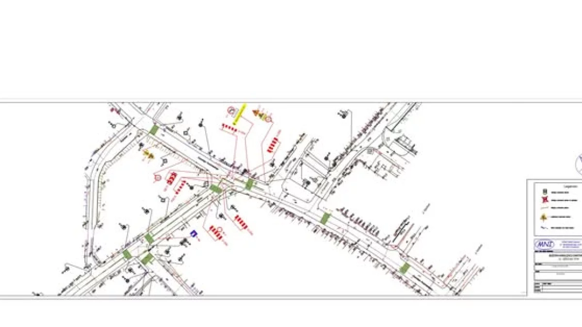
Pierwszy etap robót dotyczyć będzie obszaru w rejonie skrzyżowania ulic Poniatowskiego i Szkolnej, gdzie wystąpią czasowe utrudnienia w ruchu. Mieszkańcy oraz osoby przejeżdżające przez ten obszar proszeni są o zachowanie szczególnej ostrożności i stosowanie się do oznakowania drogowego oraz wskazówek wykonawcy. Dla osób podróżujących samochodami ciężarowymi wyznaczony został objazd, którego przebieg można znaleźć na planie sytuacyjnym, zamieszczonym w poniższej części komunikatu.

Utrudnienia w ruchu

W związku z prowadzonymi pracami, w dniach od 20 października do końca roku, mogą wystąpić czasowe utrudnienia w ruchu drogowym. Jednakże, aby umożliwić bezpieczny dojazd do grobów w okresie Wszystkich Świętych, od 30 października do 2 listopada 2025 roku, prace będą wstrzymane, a ruch drogowy odbywać się będzie bez większych ograniczeń.

reklama

Korzyści z inwestycji

Zakończenie budowy kanalizacji sanitarnej przyczyni się do poprawy jakości życia mieszkańców Gminy Ryki, zapewniając im dostęp do nowoczesnej i skutecznej infrastruktury sanitarnej. Władze gminy liczą na wyrozumiałość i współpracę mieszkańców podczas realizacji inwestycji, która jest krokiem w stronę lepszej przyszłości regionu.

Podsumowanie

Wszyscy mieszkańcy Gminy Ryki są proszeni o cierpliwość i ostrożność w trakcie realizacji prac. Gmina zapewnia, że działania te są niezbędne dla poprawy warunków życia w regionie i przyniosą wymierne korzyści w przyszłości.

reklama
reklama
Udostępnij na:
Facebook
wróć na stronę główną

ZALOGUJ SIĘ

Twoje komentarze będą wyróżnione oraz uzyskasz dostęp do materiałów PREMIUM

e-mail
hasło

Zapomniałeś hasła? ODZYSKAJ JE

reklama
Komentarze (0)

Wysyłając komentarz akceptujesz regulamin serwisu. Zgodnie z art. 24 ust. 1 pkt 3 i 4 ustawy o ochronie danych osobowych, podanie danych jest dobrowolne, Użytkownikowi przysługuje prawo dostępu do treści swoich danych i ich poprawiania. Jak to zrobić dowiesz się w zakładce polityka prywatności.

Wczytywanie komentarzy
reklama
logo